Ver todas las imágenes
Descripción
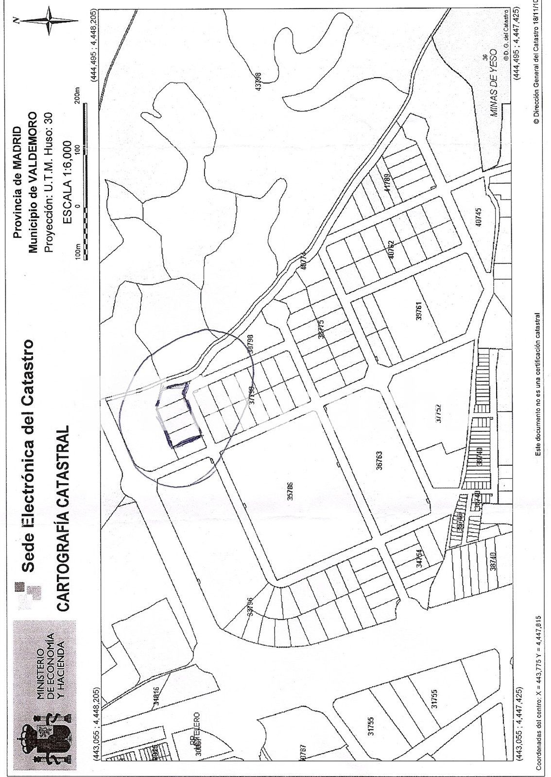
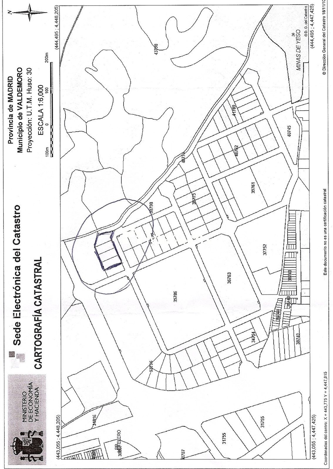
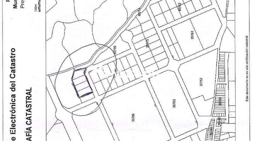
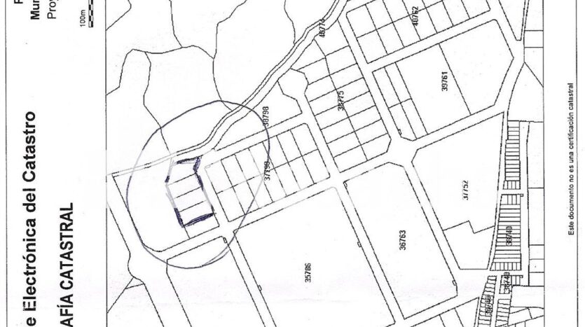
Solar en venta de 1.500 m2 con coeficiente de edificabilidad de 0,82. Terreno situado en la avenida principal del Poligono Las Canteras, paralela a la autovia de Andalucia A-4 . Posibilidad de edificar naves pequeñas comerciales.

