Descripció
Nau industrial i terrenys annexos de venda a Redondela, Pontevendra, dividits en:
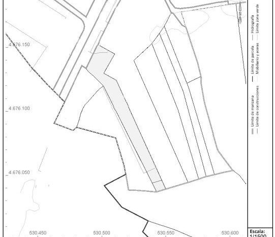
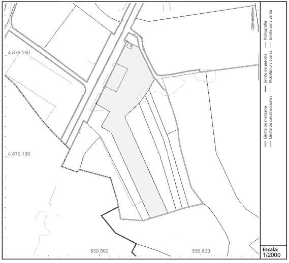
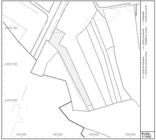
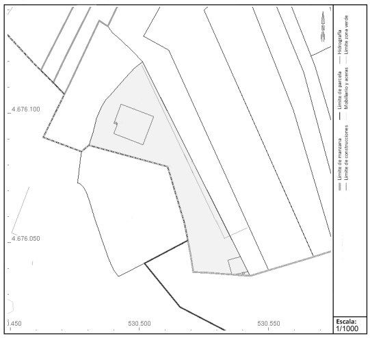
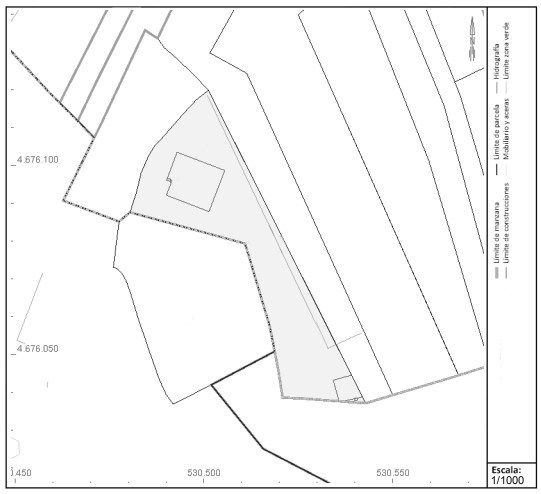
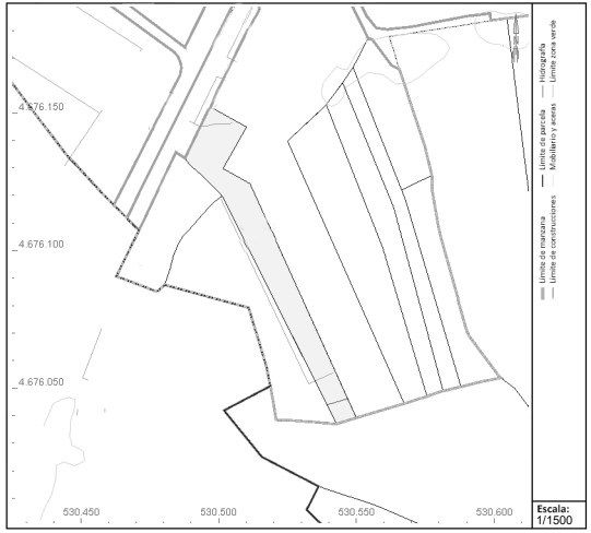
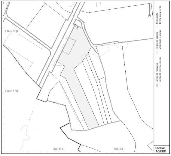
– Nau de 4.574 m² de superfície construïda, distribuïts en 4224 m² de planta baixa i un altell de 325 m². Nau està subdividida a diversos locals que disposen d’instal·lacions de llum i aigua.
– Terreny annex de 1568 m² de superfície i disposa dun immoble edificat el 2001 amb una superfície total construïda de 301 m², ideal per emplaçar oficines. Disposa de dues plantes distribuïdes en 150 m2 de planta baixa i una primera planta de magatzem de 151 m².
– Terreny annex de 1265 m² sense edificar.
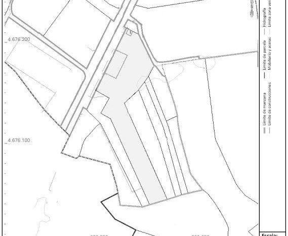
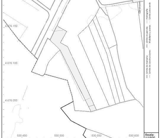
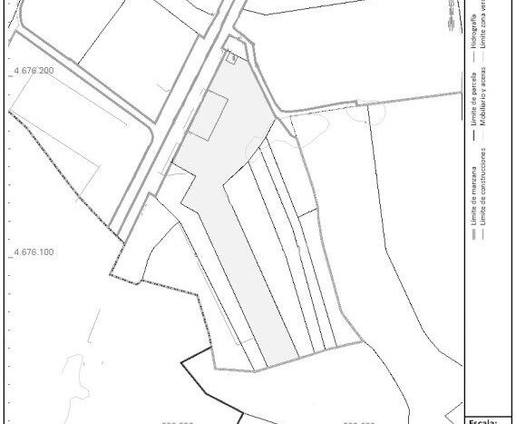
Ubicats a Redondela, Pontevedra, Galícia. Propers a l’aeroport de Vigo (a 2 km), a peu de la N-555, per tant tenen una bona comunicació per carretera. A 15 km de Vigo, 32 km de Pontevedra ia 6 km del centre de Redondela.








